Licensed & Insured β€’ Proudly Serving Polk, Charlotte & DeSoto Counties β€’ Call Today!

Home / Lawn Care Programs
COMPLETE LAWN HEALTH

Keep Your Florida Lawn Lush, Green & Healthy Year-Round

Science-based lawn care programs for Bahia, Floratam, and Bermuda grass. Pest control, disease prevention, and custom fertilization designed for Florida's climate.

Florida Turf Specialists β€’ Custom Programs β€’ Guaranteed Results

Complete Lawn Health Programs

Three essential services working together to keep your Florida lawn thick, green, and pest-free

Lawn Pest Control

Targeted treatments for chinch bugs, grubs, armyworms, sod webworms, and other lawn-damaging insects common in Florida.

  • Preventive and curative treatments
  • Safe for pets and children
  • Season-specific applications

Disease Prevention

Fungicide treatments to prevent and control brown patch, dollar spot, gray leaf spot, and other fungal diseases affecting Florida turf.

  • Early detection and diagnosis
  • Preventive fungicide programs
  • Climate-appropriate timing

Custom Fertilization

Balanced nutrient programs tailored to your specific grass type and soil conditions for optimal growth and color.

  • Slow-release formulations
  • Micronutrient supplements
  • pH-balanced for Florida soil

We Specialize in Florida Turf Grasses

Each grass type has unique care requirements. Our programs are customized for your specific turf.

Bahia Grass

Low-maintenance, drought-tolerant grass ideal for Central Florida. Requires less fertilizer but benefits from mole cricket control.

Drought Tolerant Low Maintenance

Floratam St. Augustine

Most popular Florida lawn grass. Dense, shade-tolerant, but prone to chinch bugs and fungus. Requires regular fertilization.

Shade Tolerant Most Popular

Bermuda Grass

Fine-textured, sun-loving grass. Excellent for sports fields and high-traffic areas. Requires more frequent mowing and fertilization.

Full Sun Wear Resistant

Year-Round Lawn Care Programs

Choose the program that fits your lawn's needs and your budget

BASIC

Essential Care

Quarterly service

4/year
4 Fertilizer Applications
Seasonal nutrient delivery
Basic Weed Control
Pre and post-emergent
Lawn Inspection
With each visit
Get Started
MOST POPULAR
COMPLETE

Full Protection

Bi-monthly service

6/year
6 Fertilizer Applications
Balanced nutrition program
Complete Weed Control
Year-round protection
Pest Prevention
Chinch bugs, grubs & more
Disease Monitoring
Early detection & treatment
Priority Service
Fast response times
Get Started
PREMIUM

Elite Service

Monthly service

12/year
12 Applications
Monthly lawn care
Maximum Protection
All services included
Premium Products
Top-grade materials
Soil Testing
Annual analysis included
Dedicated Specialist
Same technician each visit
Get Started

All programs include free service calls between scheduled visits if problems arise

Request a Free Estimate

Lawn Care Program FAQs

Common questions about our Florida lawn care programs

Ready for a Healthier Lawn?

Get a free lawn analysis and custom program recommendation

Common Florida Lawn Problems We Solve

Identify what's affecting your lawn and learn how we can help restore its health

Lawn Insect Pests

Patchy Lawn with Brown Spots
PEST

Chinch Bugs

Symptoms: Irregular yellow patches that turn brown, especially in sunny areas
Peak Season: May - September
Targets: St. Augustine grass

Tiny insects that suck sap from grass blades. Most common St. Augustine pest in Florida. Damage spreads rapidly in hot, dry weather.

βœ“ Treatable with targeted insecticides

closeup, no people, macro
PEST

White Grubs

Symptoms: Brown patches, turf pulls up easily like carpet
Peak Season: Spring & Fall
Targets: All grass types

Beetle larvae that feed on grass roots. Found 1-2 inches below soil surface. Attracts armadillos and birds that dig up lawn searching for grubs.

βœ“ Preventive treatments most effective

Close up of a fall armyworm (Spodoptera frugiperda) eating grass in a lawn in central Alabama. These pests can strip a lawn in hours.
PEST

Armyworms

Symptoms: Rapid browning, grass blades chewed to soil level
Peak Season: Late Summer - Fall
Targets: Bermuda, Bahia

Caterpillars that "march" across lawns in groups, consuming entire grass blades. Can destroy a lawn in 2-3 days. More common after heavy rains.

βœ“ Immediate treatment required

Lawn Patch with Bare Spot. Ants nest in the lawn. Lawn damaged by ants colony.
PEST

Sod Webworms

Symptoms: Small brown spots, notched grass blades, silk webbing
Peak Season: Summer months
Targets: All grass types

Small caterpillars that hide in thatch during day, feed at night. Create small tunnels lined with silk and grass clippings. Moths flutter above lawn at dusk.

βœ“ Evening treatments most effective

Lawn Fungal Diseases

Dry and damaged grass needs lawn care
DISEASE

Brown Patch

Symptoms: Circular brown patches 1-3 feet diameter with smoke ring border
Peak Season: Fall - Spring (cool, wet weather)
Targets: St. Augustine, Bermuda

Most common lawn fungus in Florida. Thrives in over-fertilized, over-watered lawns during temperature swings. Can spread rapidly overnight.

βœ“ Preventive fungicide programs available

Texture of damaged lawn, grass. Dead grass, dry withered lawn during. Green and yellow grass due to poor maintenance, lack of watering. Dried dying grass without rain for a long time. Landscaping without care.
DISEASE

Gray Leaf Spot

Symptoms: Gray-green spots on blades, yellowing, thinning turf
Peak Season: Summer rainy season
Targets: St. Augustine (especially new sod)

Explosive growth during hot, humid, rainy weather. Can defoliate entire lawn within days. New sod and over-fertilized lawns most susceptible.

βœ“ Fast-acting fungicides required

Snow mold in the grass, plant dissease. Gray snow mold (also called Typhula blight) is caused by Typhula spp., while pink snow mold (also called Fusarium patch) is caused by Microdochium nivalis.
DISEASE

Dollar Spot

Symptoms: Small (silver dollar size) tan spots, white webbing in morning dew
Peak Season: Spring & Fall
Targets: Bermuda, Bahia

Caused by low nitrogen and excessive moisture. Individual spots may merge into larger dead areas. Most common in under-fertilized lawns.

βœ“ Proper fertilization helps prevent

Not Sure What's Wrong With Your Lawn?

Our team can diagnose and treat any lawn problem. Free lawn analysis included with service.

Request a Free Estimate
BEYOND THE LAWN

Ornamental & Landscape Pest Management

Protect your shrubs, trees, and ornamental plants from damaging insects and diseases

Common Ornamental Pests

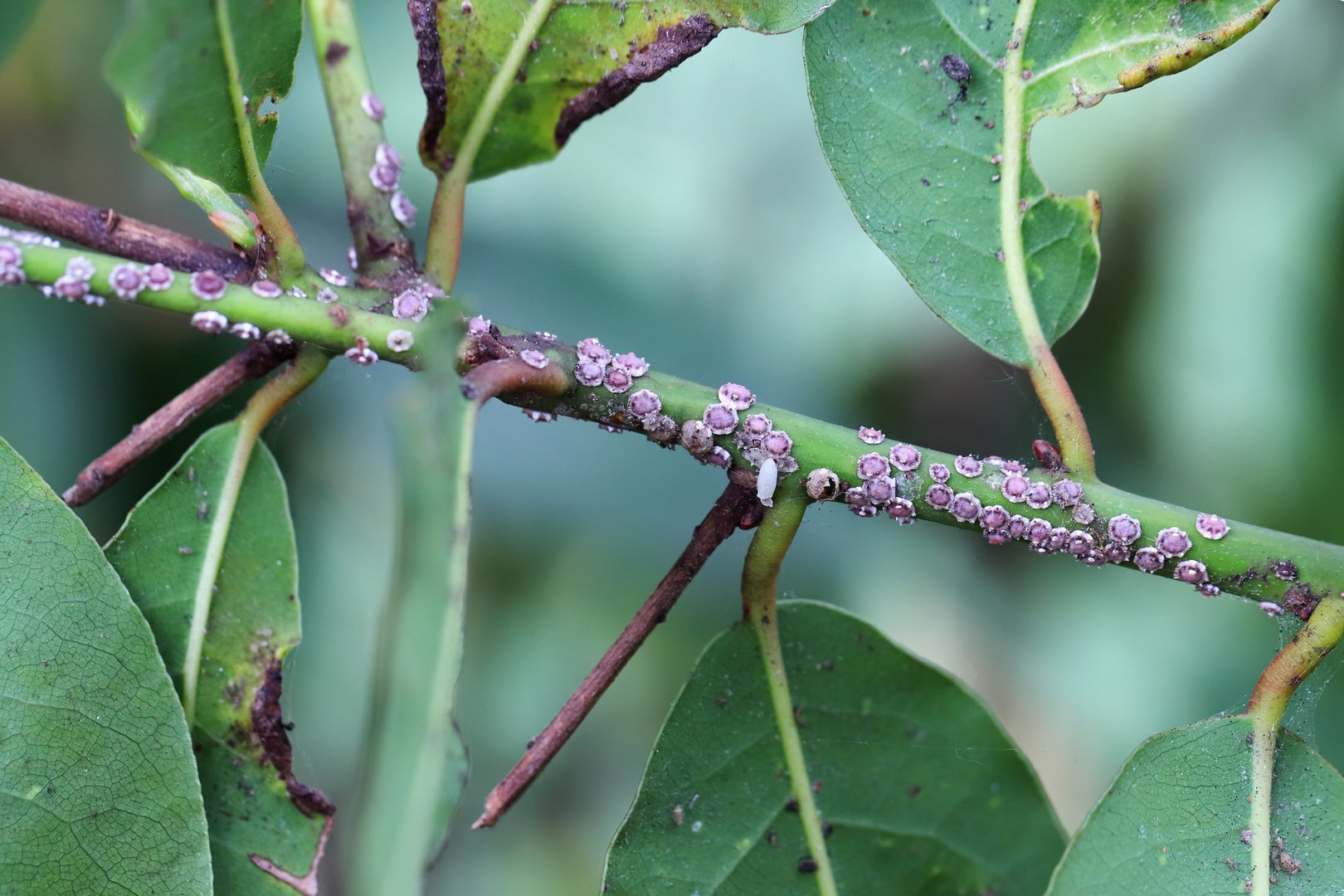
Scale insects on the branch of a cultivated, ornamental shrub in the garden.

Scale Insects

Small, armored pests that attach to stems and leaves, sucking plant sap. Cause yellowing, stunted growth, and sooty mold.

Common on: Azaleas, Camellias, Hollies
Prickly Lettuce Aphid (Acyrthosiphon lactucae) Insecta. Adult Aphid on Green Leaf. Greenfly or Green Aphid Garden Parasite Insect Pest Macro.

Aphids

Tiny soft-bodied insects that cluster on new growth. Secrete honeydew that attracts ants and causes black sooty mold.

Common on: Roses, Hibiscus, Crape Myrtles
Whitefly infection Aleyrodes proletella on cabbage leaves.

Whiteflies

Tiny white flying insects on leaf undersides. Weaken plants and transmit viral diseases. Florida's warm climate allows year-round breeding.

Common on: Gardenias, Ixoras, Poinsettias
Scouting for spider mite (Tetranychus Urticae) on tomato leaves. A large population of spider mite, and webbing can be observed.

Spider Mites

Nearly microscopic pests that create fine webbing. Cause stippled, bronzed leaves. Thrive in hot, dry conditions.

Common on: Junipers, Roses, Palms

Plant Diseases

An herbaceous plant characterized by slender stems, small, narrow leaves, and tiny white to purplish flowers. It produces elongated, erect seed capsules or pods, and is highly valued in traditional medicine for its intensely bitter taste.

Black Spot (Roses)

Fungal disease causing black circular spots on leaves, leading to yellowing and defoliation. Thrives in warm, humid Florida weather.

Treatment: Fungicide sprays + proper air circulation
powdery mildew in tomato.

Powdery Mildew

White, powdery coating on leaves and stems. Common in shaded, crowded plantings with poor air circulation.

Treatment: Preventive fungicide applications

Root Rot

Fungal disease from overwatering or poor drainage. Causes wilting, yellowing, and plant decline despite adequate water.

Prevention: Proper drainage + fungicide drenches

Anthracnose

Fungal disease causing dark, sunken lesions on leaves, stems, and fruit. Spreads rapidly during rainy Florida summers.

Treatment: Systemic fungicides + pruning

Our Ornamental Care Services

Shrub & Tree Treatments

Targeted pest and disease control for ornamental plants, shrubs, and small trees throughout your landscape.

Ornamental Fertilization

Customized nutrient programs for flowering plants, shrubs, and ornamental beds to promote healthy growth and vibrant blooms.

Disease Prevention Programs

Preventive fungicide applications to protect valuable ornamental plants from common Florida fungal diseases.

TIMING IS EVERYTHING

Florida Lawn Care Calendar

Know what your lawn needs each season for year-round health and beauty

Spring

March - May

βœ“ First Fertilization

Start feeding as grass greens up

βœ“ Pre-emergent Weed Control

Prevent summer weeds before they start

βœ“ Grub Prevention

Apply preventive treatments early

⚠ Watch For: Dollar Spot

Cool nights, warm days create ideal conditions

Summer

June - August

βœ“ Peak Fertilization

Apply every 6-8 weeks during active growth

βœ“ Chinch Bug Control

Monitor closely - peak infestation period

βœ“ Gray Leaf Spot Watch

Heavy rain triggers outbreaks

⚠ Watch For: Sod Webworms

Look for brown patches and moths at dusk

Fall

September - November

βœ“ Final Fertilization

Strengthen roots before winter slowdown

βœ“ Armyworm Alert

Peak season - inspect weekly

βœ“ Brown Patch Prevention

Start preventive fungicides in late fall

⚠ Watch For: Mole Crickets

Late summer/early fall is treatment time

Winter

December - February

βœ“ Dormancy Period

Grass growth slows - reduce fertilization

βœ“ Brown Patch Treatment

Peak season for this fungal disease

βœ“ Weed Control

Target winter weeds while active

⚠ Frost Protection

Cover sensitive ornamentals if freeze warning

Let Us Handle the Timing

Our year-round lawn care programs automatically adjust treatments based on the season, weather conditions, and your lawn's specific needs. No guesswork requiredβ€”just a beautiful, healthy lawn all year long.

Enroll in Year-Round Program
LAWN CARE FUNDAMENTALS

Essential Care Tips for a Healthy Florida Lawn

Professional treatments work best when combined with proper lawn maintenance practices

Soil Health & pH

The foundation of lawn success

Florida Soil Challenges

  • β€’ Sandy soil drains quickly, leaches nutrients
  • β€’ Naturally acidic (pH 5.5-6.5)
  • β€’ Low organic matter content
  • β€’ Poor water and nutrient retention

Ideal pH Range

St. Augustine: 6.0-7.0
Bahia: 5.5-6.5
Bermuda: 6.0-7.0

Included in Our Programs

Soil testing with first visit to identify pH and nutrient deficiencies. Custom amendments recommended based on results.

Common Amendments

  • β€’ Lime: Raises pH in acidic soils
  • β€’ Sulfur: Lowers pH if needed
  • β€’ Iron: Corrects yellowing (chlorosis)
  • β€’ Organic Matter: Improves retention

Watering Guidelines

Proper irrigation for Florida lawns

Frequency by Grass Type

St. Augustine 2-3x/week

Β½-ΒΎ inch per application

Bahia Grass 1-2x/week

Drought tolerant, needs less water

Bermuda Grass 2-4x/week

Higher water needs in summer

Best Time to Water

4:00 AM - 10:00 AM

Early morning is ideal

  • βœ“ Reduces disease risk from overnight moisture
  • βœ“ Less evaporation than midday watering
  • βœ“ Grass dries before evening
  • βœ— Avoid evening watering (promotes fungus)

Signs of Problems

Under-watered:

β€’ Blue-gray color
β€’ Footprints remain
β€’ Wilted blades

Over-watered:

β€’ Fungal disease
β€’ Spongy feel
β€’ Weeds thrive

Florida Water Restrictions: Check with your local water district for allowable irrigation days and times.

Mowing Best Practices

Cut correctly for healthier turf

Proper Mowing Height

St. Augustine

Floratam, Palmetto

3.5-4"

Bahia Grass

Argentine, Pensacola

3-4"

Bermuda Grass

Common, Hybrid

1-2"

The 1/3 Rule - NEVER Break This!

Never remove more than 1/3 of the grass blade height in a single mowing. Cutting too much stresses the plant and weakens roots.

Example: If grass is 6" tall, cut to no shorter than 4"

Mowing Frequency

  • Summer (Active Growth):
    Every 5-7 days for most grasses
  • Winter (Slow Growth):
    Every 10-14 days or as needed
  • After Rain/Fertilization:
    More frequent mowing needed

Essential Mowing Tips

  • βœ“ Keep blades sharp - dull blades tear grass, invite disease
  • βœ“ Mow when grass is dry for cleaner cuts
  • βœ“ Alternate mowing patterns to prevent soil compaction
  • βœ“ Leave clippings on lawn (natural fertilizer)
  • βœ“ Clean mower deck after each use

Want Expert Guidance for Your Specific Lawn?

Our initial visit includes soil testing and a customized care plan based on your grass type, soil conditions, and lawn goals.

Request a Free Estimate